page principale page précédente page suivante
L’hypothèse de Pierre-Louis Morin (1811-1886).

Source: Lévesque, René. Le tombeau de Champlain, journal d'un archéologue, Québec, Entreprises V.W.L., 1992. Légende Pl. 79
Suite à la découverte en 1976 du plan de Pierre-Louis Morin (1) par madame Raymonde Gauthier (2), on localise la chapelle_Champlain ainsi que le logis de Jean Bourdon, cet arpenteur notoire qui nous a légué des cartes impressionnantes de Québec. Cependant, ce plan semble poser problème à plusieurs égards selon Carl Lavoie (3).

Pierre-Louis Morin
Si cette carte de Pierre-Louis Morin est authentique, il faudrait mettre de
coté les textes de 1649 et de 1661, deux documents qui sont difficiles à
ignorer (Gauthier-Larouche, 1991, p. 5). Le plan de Pierre-Louis Morin
semble incompatible avec le texte de 1661 qui situe la chapelle Champlain à
l’est du terrain de Mathieu Huboust selon les conclusions de Georges
Gauthier-Larouche et Carl Lavoie (2000). Mentionnons que Morin, meurt en 1886,
et il n’a pas eu connaissance du texte fondamental de 1661 publié en 1998 par
Ernest Myrand.

Superposition du plan de Morin au cadastre actuel et localisation de la
concession de Mathieu Huboust et de la chapelle Champlain à l'est selon Lavoie
et Gauthier-Larouche.
Pourquoi ne retrouvons-nous pas cette même chapelle sur le plan de Bourdon de 1660? Cela n'a pas de cohérence. Ce plan de Morin, fait à partir du plan de 1660 de Jean_Bourdon serait finalement une hypothèse de plus, visant à localiser la chapelle_Champlain.
Curieusement, Pierre-Louis Morin, indique le logis de Jean_Bourdon sur son plan et non l'école en bois de Martin Boutet telle qu'elle apparaît sur son plan de 1660. Mentionnons que ce dernier installe sa résidence principale dans le coteau_Sainte-Geneviève en 1634. Pour plus de détails, voir cette page:
Le manoir de Jean_Bourdon au coteau_Sainte-Geneviève.
Les fouilles de Dumas entre 1951 et 1957 ne porteraient donc pas sur le manoir
et la chapelle_de_Jean_Bourdon
Les prémisses de l’hypothèse de
Pierre-Louis Morin.
Dans le Journal "Québec Mercury" du 1er juin 1843, il est fait
mention d'une voûte découverte lors de la destruction d'un mur d'enceinte près
de la basilique Notre-Dame de Québec, le long de la rue Buade.

Mur d’enceinte de la basilique Notre-Dame de Québec,
existant en 1830, tel que dessiné par le peintre James Cockburn
Source : Cameron, Christina, Trudel, Jean. The
drawings of James Cockburn : A visit through Quebec’s Past, Gale
Publishing, 1976, p. 113
Pierre-Louis Morin a
sans doute eu connaissance de cet article qui mentionne :
« The
workmen at present employed in excavating for the removal of the wall which
formed the boundary
of the land belonging to the French
Cathedral, on the side of Buade street, have brought to light some
few relics of the “olden tyme”. Amoung these are an ancient vault in which
reposed the remains of
some of the earlier respectable inhabitants
of the city…” (4)
Le 25 avril
1849, un incendie détruit la bibliothèque et les archives
législatives du Parlement du Canada-uni. Entre 1852 et 1853, Pierre-Louis
Morin effectue un voyage en France pour reconstruire la collection de documents
ainsi que le rapatriement de documents cartographiques et
iconographiques. Entre 1873 et 1881, à partir du plan de Bourdon de 1660,
il élabore, à l'image de ses contemporains, une hypothèse visant à localiser la
chapelle Champlain. Sans doute au courant du texte de 1649, découvert
dans le fonds Faribault en 1873, il émet une hypothèse à la haute-ville en
s'appuyant fortement sur la découverte de la voûte, sous le mur d’enceinte
de la basilique. La voûte découverte en 1843 n'aurait pas validée le plan
de Morin de 1640. C'est plutôt la découverte de cette voûte, qui
aurait incité Morin à émettre cette hypothèse. Finalement, s’il avait connu le
texte de 1661 publié en 1898, son hypothèse aurait été tout à fait
différente.
Recherches de René Robitaille
Toujours à partir du plan Morin, dont la copie originale est introuvable, René Robitaille (5) propose de poursuivre les recherches de la chapelle_Champlain sous la cinquième fenêtre de l'actuelle cathédrale Notre-Dame de Québec.

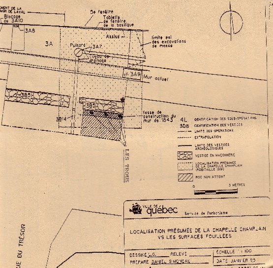
Source: Lévesque, René. Le tombeau de Champlain, journal d'un archéologue, Québec, Entreprises V.W.L., 1992. 420 p.
En 1992, la ville de Québec fit réaliser des fouilles dans le cadre d'une chapelle dédiée à Mgr de Laval. D'après Robitaille, ces fouilles sont demeurées superficielles. Il propose de se rendre sous le roc lorsqu'il constate des trous près du mur du cimetière démoli en 1843. La présence de ces vides selon Dominique Lalande (6), serait une fosse de construction entre deux murs. Selon Daniel Simoneau, ce mur " avait été assis sur le roc par l'excavation d'une fosse de fondation qui excédait ses parements nord et sud d'une quarantaine de centimètres" (7).

Source: Lalande, Dominique Les fouilles archéologiques de la rue Buade: Bilan de la collection, Québec, Ville de Québec. Service de l'urbanisme pour Daniel Simoneau, 1992, p. 89 et les trous identifiés par René Robitaille.
Notes:
(1) Le dessinateur topographe, arpenteur géomètre, portraitiste, professeur de dessin, architecte et chantre Pierre-Louis Morin (1811-1886), né en France, œuvre à Montréal à compter de 1838. Il est chargé de mission en France, en 1842 et 1853-1854, par les autorités gouvernementales pour effectuer des recherches historiques et iconographiques (Karel 1992 et Archives nationales du Québec à Montréal P1000,D356).
Certainement influencé par l'ouvrage de Sulte 1882-1884, Pierre-Louis Morin publiera peu après un atlas intitulé Le vieux Montréal, 1611-1803 (Morin 1884), qui contient des dessins et plans qui sont toujours utilisés par de nombreux historiens, sévèrement critiqués par les uns, justement appréciés par d'autres (Robert 1994, p. 30-31, et p. 159, note 103 ; voir aussi Lahaise 1980, p. 30-31). Un de ces plans reconstitue justement le Fort de Ville-Marie où vécut Paul Chomedey de Maisonneuve, démontrant sans aucun doute l'intérêt de Pierre-Louis Morin pour ce personnage. En outre, Pierre-Louis Morin a contribué à diffuser le mythe du « Château Maisonneuve » qui, en fait, était plutôt le premier séminaire des sulpiciens (Lahaise 1980). Plusieurs ouvrages récents continuent à utiliser ces dessins sans en faire la critique historique et, pire, sans en citer l'auteur...!
Morin travaille comme arpenteur pour le gouvernement du Canada. La copie daterait de 1852-1853 selon Michel Gaumond. Ce plan a été déposé à la Société Historique de Montréal le 3 décembre 1881.
Source: site de M. Robert Derome: http://www.er.uqam.ca/nobel/r14310/Sulte/MorinPierreLouis.html
(2) Gauthier, Raymonde, "Une carte de Jean Bourdon de 1640", The Journal of Canadian Art History / Annales d'histoire de l'art canadien, Montréal, vol. 3, no. 1-2 (septembre 1976), p 99-101 PER J-29.
(3) Lavoie, Carl, Recherche multidisciplinaire sur la localisation du site de la chapelle_Champlain à Québec, 1999. Avec la participation de Paul Grimard, Georges Larouche et Maurice K. Séguin. Publié pour le mouvement Francité, p. 9
(4) The Quebec Mercury, Thursday June 1st 1843, cite par : Lavoie, Carl, Recherche multidisciplinaire sur la localisation du site de la chapelle_Champlain à Québec, 1999. Avec la participation de Paul Grimard, Georges Larouche et Maurice K. Séguin. Publié pour le mouvement Francité, annexe D.
(5) Robitaille, René, La naissance d'une ville: le plan de Québec, 1640: son authenticité, (Rapport d'expertise pour la Société Saint-Jean Baptiste de Québec), Québec, Henri Rallon Editeur, 2004, 17p.
(6) Lalande, Dominique Les fouilles archéologiques de la rue Buade: Bilan de la collection, Québec, Ville de Québec. Service de l'urbanisme pour Daniel Simoneau, 1992, p. 89
(7) Simoneau, Daniel, La chapelle de Mgr de Laval à la basilique de Québec: Intervention de fouilles archéologiques, Québec, Ville de Québec. Service de l'urbanisme, rapport inédit, 1995, p. 12.
page principale page précédente page suivante